这次去帕劳算是给自己一个迟到的毕业旅行的纪念!记忆中的帛琉被人们称为是上帝的水族馆、潜水者的天堂等众多华丽的名字就不一一写出来了。
这次前往帕劳的计划到最后的行程都是很快的,去年Key west 跳了伞、Macau蹦极,决定每年都给自己一个目标。接下来给大家分享下帕劳的简短的小攻略。
从以下几个部分
一.行前的准备
二.帕劳转机的地点
三.帕劳必去的水下景点推荐
四.帕劳陆地景点的推荐和交通
五.帕劳美食攻略和酒店推荐
六.一些费用说明


一、行前的准备
1.女孩们能够带一些亮色的衣服,在岛上能够穿的很随意。个人觉得白色的泳衣在水下拍照还是挺好看的。比如带:人字拖、墨镜、比基尼、丝巾。还能够带一些浮床来这里(不过我觉得会有点麻烦,出行的时候能少带就少带)
2.money是必须带的,如果你预定好行程、机票、酒店的话,建议每人在带600-800美金左右就够用了,帕劳没有特别的花费,没有购物的地方。出海的时候会给到导游和船长的小费,每人10美金。
3.转换插头能够自己带着(也能够不带,有的酒店就有)是美式插头的。
4.水下世界很美,相机推荐的是gopro水下防水40M,4k到1080p清晰度
5.对了,防晒很重要!!!建议带50或者100倍的防晒,简单的推荐下以下两种防晒。
二、帕劳转机的地点
要知道帕劳和中国没有建交关系的,帕劳现在是落地签。我们只能在香港转机、澳门转机、韩国转机、台北转机到帕劳。台北转机可能有点麻烦,就先不说了。
1.来说说香港转机,航班是每周三、周五、周日。不需要港澳通行证、只需要拿着护照和和帕劳的有效机票能够进香港停留7天游玩,前后七天都是能够哒!需要大概四个小时左右到帕劳,这对于想去香港游玩的来说还是比较不错的选择。香港的那个航班是太平洋航班也叫PPA。建议提前去机场等候,你们懂得哈,要不然时间太赶,自己着急。
2.我们这次并没有选择香港飞,而是在澳门转机出发的,提前了4天到达澳门,这几天就是吃吃逛逛。在澳门转机也需要护照和帕劳的有效机票就能够停留5天。
3.韩国的航班机票是能够联程的,想要走出韩国机场是需要韩国签证的,这点有点不太好,要不然只能在机场内等着,不过韩国航班几乎是凌晨出发的。对于想在哪里转机比较方便,这个还是要看个人的。
因为我是提前在国内预定的地接社预定了机票+酒店+三天出海(有一天的跟拍)是我跟表妹一起去的。
出行前看到了地接社的跟拍图片,于是我俩也决定来一组水下跟拍。





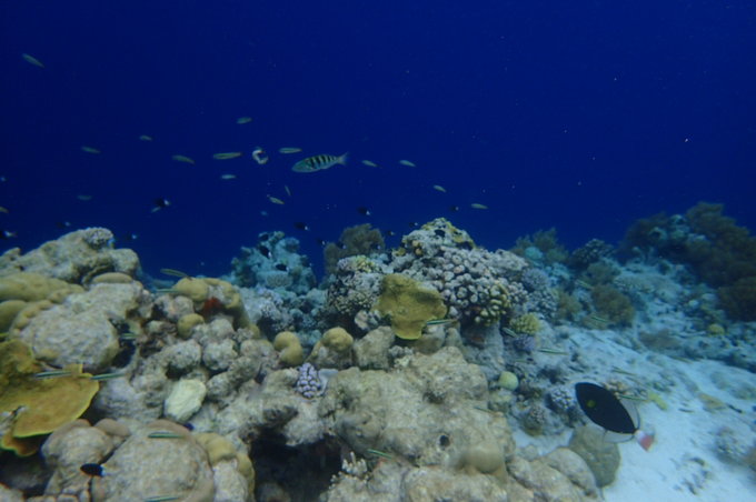
三、帕劳水下景点推荐
帕劳被称赞的名称太多太多,特色的景点也是很多
1.之前很火的水母湖(现在的水母还在恢复当中)当然也是有个秘密水母湖,那里的水母不是很多。

2.帕劳牛奶湖,据说湖底是很早之前由于火山爆发形成的火山泥沉淀于此,雪白的软泥看起来像牛奶一样,导游会把船开到一个水面很平稳的地方,下海会去给我们挖牛奶泥,来给我们大家涂抹全身,这种牛奶泥是天然的护肤品,等到身上变干的时候,大家就会跳入湖中洗洗干净,很好玩。

3.大断层是浮潜的圣地,一个水下断崖,也是跟拍的好去处。来这里有时候还是要看天气如何的。海浪大的时候,就会换别的景点。这里的水下能看到很多种类的鱼,珊瑚等等,水下很清晰。也很感谢摄影师的拍摄,很喜欢!很有纪念意义。








4.蓝色珊瑚礁也是浮潜的一个景点,这里的珊瑚有一种很少见的蓝色鹿角珊瑚,好像只有帕劳才有,像这样的珊瑚真的是不多见的。


5.这里的干贝很大,听说帕劳的贝壳是全世界最大的,没有之一,厉害了Word,干贝也是活的,切记不要触摸它,小心被夹到手。

都说帕劳是上帝的水族馆,这里当然也少不了各式各样的鱼群,美人鱼水道是天然的鱼群的聚集地,在这里导游会给到一些面包屑来喂小鱼,不一会儿,就会有很多的鱼围绕着。

鲨鱼城是一个比较刺激的景点,在这里感受下鲨鱼就在脚下的感觉吧。



玫瑰珊瑚花园,这里金灿灿的。




软珊瑚的颜色色泽鲜丽,不过在这里浮潜一定要注意不要被珊瑚刮伤自己哦。这里还有很多的小丑鱼(还记得海底总动员里面的那个尼莫嘛,在这里呀)









帕劳

恋人桥是帕劳明信片上出镜率最高的一个景点了。
德国水道


长滩岛天气好的合适很合适拍照。




其实每个景点都很不错,记得出海的第一天,我们第一个项目是手线钓鱼,用一根线,一头把鱼饵拴住,另一头手里拿着线,把鱼饵扔入水中,静静的等待着鱼上钩,还是觉得很开心的!



讲真帕劳的长滩岛的沙子真的是很柔软,踩着很舒服。

它不像其他的海岛那么商业化,也没有过度的开发,帕劳的人们都很注重环保的,像这样的海岛国家已经不是很多见了。或许这就是它的魅力所在,海底的珊瑚也是保护的很不错。

四、帕劳陆地景点和交通
说实在帕劳的国家不大,既然选择了三天的出海,那么也来一天陆地游,能够租辆野马跑车,听说我预定的这家地接社还有道奇。不过没有租到。租车也是需要提前预定的。
帕劳的陆地景点:总统府(小白宫)拍拍照、安德茂瀑布(需要自费门票)、泥洼码头、帕劳公园、KB大桥看日落、男人会馆等等
帕劳的交通
在帕劳自驾的话,路线很简单,只有一条环岛主路,一直沿着大路走就好了,全程都没有一个红绿灯,没有一个警察,不过,毕竟是在国外,即使这样,也还是要自己多注意安全,不要超速太多,帕劳租车大多车是右舵驾驶,很少是左舵,刚开始的时候需要适应和习惯,开上一会儿就习惯了。
租车需要的证件:国内的原件(驾驶证)



五、帕劳美食和酒店推荐
帕劳毕竟是一个海岛国家,当然少不了海鲜。
1、特色美食
(1)椰子蟹
清蒸过后,椰香四溢。当然,价格也不便宜,从60-80美金一磅都有,不同餐厅不同标价。

(2)红树林蟹
肥大,味道鲜美而著称,成蟹可长到30-40厘米。

(3)砗磲贝/车渠贝
砗磲贝刺身、辣炒车渠贝唇二种最地道新鲜的吃法,洁白脆爽的贝柱肉刺身铺在冰块冰镇着,这样肉质更加甘甜脆爽。

(4)水果蝙蝠汤
这种蝙蝠是吃水果长大的蝙蝠。起初喝起来时感受味道很鲜美,有点像鸡汤,也有人说像骨肉茶。
为了不影响食欲,一般是不会给客人看蝙蝠的。

还有一些人气餐厅:
(1)Drop off 西餐厅
这家西餐厅是岛上人气最高的,价位适中,牛排做的很地道,能够来点刺身、日式海鲜拉面。
(2)假日酒店马路对面的日餐厅
这里有螃蟹,味道还不错。这里餐厅的日本人居多些,比较安静,价位中等偏上。
(3)BmeErmii汉堡店
帕劳一家非常著名的汉堡店。现烤的美式双层吉士汉堡,份量超大。面包夹层的汉堡肉鲜嫩又多汁,搭配上大量的新鲜生菜和厚厚的吉士,很不错。
(4)MogMog日式海鲜餐厅
以当日捕捉到的新鲜的海鲜为主,用活的泥蟹和贝类、海葡萄等帕劳食材而制作出发挥个性的料理数不胜数。
帕劳的酒店设施真的是很一般啦,先推荐几个性价比高的吧
1.日晖是性价比高的酒店,人性化管理,服务还能够,房间有点复古,酒店自带红树林栈道,属于帕劳的4颗星酒店。距离WCTC超市车程是20分钟,离市区有点远,不过能够让导游接送。

2.cove酒店,这家是最近新开的酒店,5星级,房间比较大,设施新,能够斟酌下。

3.PPR酒店(太平洋酒店)拥有帕劳最大的私人海滩,是帕劳唯一能够看到太阳落入海里的酒店,当然价格也是比较贵的啦。

每个人的预算和需求还是要看自己的。
六、一些花费的money
因为我们是直接在漫漫浪预定的(机票+酒店+出海,包括跟拍;其他费用)大概一个人花了一万八。
帕劳需要支付的费用
1.出海证:50美金
2.钓鱼证:20美金
3.导游和船长的小费10美金/每天
4.帕劳机场的离境税50美金。
5.来说说吃饭花的,也没花多少,我们是6天5晚,早餐都是酒店自助的,三天出海的午餐也都是导游现场制作的,还有一个晚上赠送了海鲜大餐。那就是4个晚餐需要自己支付,想要吃好点的话人均是70-80美金左右,普通点的是30-40美金左右。
6.其他的杂七杂八的花费像买点零食、哈根达斯、巧克力等等,花了50美金左右。
7.地接社免费提供无度数面镜、咬嘴(一次性);有度数面镜是每天8美金、脚蹼每天6美金、水母服每天10美金、水下相机租用每天35美金(导游能够帮忙拍照)技术还是不错的。
帕劳留给我的记忆,是每天在大海上飘来飘去,船一停就纵身跃进海里。在海底就能挖一船白白的泥巴,我们就能够随时开始做面膜。有时跃进海里看到的是百年的砗磲贝,有时带着面包屑下海,鱼儿就争先恐后的过来围绕着你。

我的帕劳之行的一些小总结,希望能帮到大家。当然这也是我个人的消费,每个人消费肯定不一样,仅供参考~
